Listing Tools

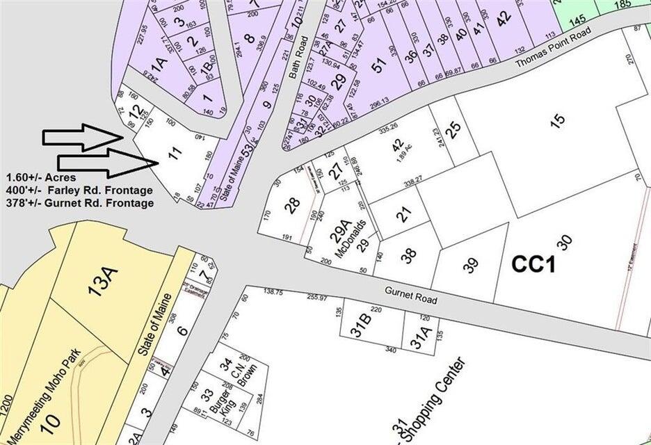
Developers take notice of these 2 Lots for sale in the hub of Cook's Corner. Seller concessions being offered. Located in a qualified opportunity zone. Level and open lot with complete visibility from Route 1. Lot 11 is paved with a 3-bay garage and Lot 12 is gravel with an existing Quonset hut. Flexible lot lines depending on use. Frontage on Farley Road and runs alongside the ramp leaving Cooks Corner headed toward Bath. Mixed use and commercial with a wide variety of allowed uses. Group Living, Storage facility, Multi Unit Housing, Day Care, Hotel, Restaurant, Power sports sales, Medical/dental/vet office, Art Gallery, Solar activities and more. Lots of sun exposure and abutting major 3 phase power lines. Town sewer at the curb and town water is available (call for details). Zero building set backs on all sides but rear. Rear set back 15 ft. 80% impervious lot coverage allowed; 60 ft max structure height. Large foundation footprints allowed-see attached LD 2003-allowing for 60 residential units.

Property Details of LOT#11&12 Farley Road

Property Details

Utilities and Appliances

Map Location

Listing data is derived in whole or in part from the Maine IDX & is for consumers' personal, non commercial use only. Dimensions are approximate and not guaranteed. All data should be independently verified. ©2026 Maine Real Estate Information System, Inc. All Rights Reserved. equal opportunity housing logo   Privacy Policy

Reilly Real Estate participates in ©2026 Maine Listings Internet Data Exchange program, allowing us to display other Maine IDX Participants' listings. This website does not display complete listings. Certain listings of other real estate brokerage firms have been excluded. Mortgage figures are estimates. Check with your bank or proposed mortgage company for actual interest rates. This product uses the FRED® API but is not endorsed or certified by the Federal Reserve Bank of St. Louis.

Hi there! How can we help you?

Contact us using the form below or give us a call.

Send Us A Message:

I agree to receive marketing and customer service calls and text messages from Reilly Real Estate. To opt out, you can reply 'stop' at any time or click the unsubscribe link in the emails. Consent is not a condition of purchase. Msg/data rates may apply. Msg frequency varies. Privacy Policy.

Do not fill in this field:

This site is protected by reCAPTCHA and the Google Privacy Policy and Terms of Service apply.

Hi there! How can we help you?

Contact us using the form below or give us a call.

Send Us A Message:

Do not fill in this field:

This site is protected by reCAPTCHA and the Google Privacy Policy and Terms of Service apply.

Hi there! How can we help you?

Contact us using the form below or give us a call.

Send Us A Message:

Do not fill in this field:

This site is protected by reCAPTCHA and the Google Privacy Policy and Terms of Service apply.

Do not fill in this field:

This site is protected by reCAPTCHA and the Google Privacy Policy and Terms of Service apply.

Do not fill in this field:

This site is protected by reCAPTCHA and the Google Privacy Policy and Terms of Service apply.

Do not fill in this field:

This site is protected by reCAPTCHA and the Google Privacy Policy and Terms of Service apply.

$

Do not fill in this field:

This site is protected by reCAPTCHA and the Google Privacy Policy and Terms of Service apply.